lubelskie, Krasnystaw, Zastawie



lubelskie, Krasnystaw, Zastawie
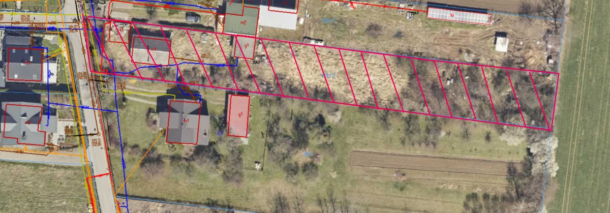
Działka budowlana z dwoma budynkami w złym stanie technicznym do rozbiórki, położona w ścisłej zabudowie mieszkaniowej jednorodzinnej w dzielnicy Krasnegostawu Zastawie Przedmieście przy ulicy Łukasińskiego w pobliżu pól uprawnych na lekkim zboczu, w kształcie długiego prostokąta. Działka posiada doprowadzone media (prąd, woda z wodociągu miejskiego, możliwość podpięcia się pod sieć gazową z przebiegającego tam gazociągu). Istnieje również możliwość podłączenia się do kanalizacji miejskiej. Zapraszam do prezentacji.
This is a common note that can be displayed on all properties but controlled from one simple option.
Warszawa – Ursynów – ul. Stanisława Kazury – 63 m2